🔧 本文章最後由 lingoma 於 2014-7-3 12:54 編輯
Petcare Animal Hospital
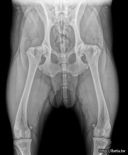
Hip Dysplasia is a common genetic disease in large breed dogs. Early detection is very important. With proper exercise, weight management and joint supplement, most of the early diagnosed patients could still maintain a good quality of life without major surgery.
髖關節發育不全在大型犬是很常見的遺傳性疾病,早期診斷非常重要,透過運動控管、體重控制及關節保養品,大部分早期發現患病的狗狗依舊可以在不需手術的情況下保有良好生活品質。

https://www.facebook.com/LAPetcareAnimalHospital?ref=profile
MayMay吃了關節保養品約40天就看到了成效